Title

Integrated Pest Management of Pea Leaf Weevil in North Dakota

(E1879, Revised April 2023)
Summary

This publication summarizes Integrated Pest Management of pea leaf weevil including host plants (field peas and faba beans), geographic range, identification, life cycle, crop damage, monitoring, economic threshold, cultural control, and chemical control.

Lead Author
Lead Author:
Travis J. Prochaska, Extension Specialist, Crop Protection, North Central Research Extension Center, Minot
Other Authors

Janet J. Knodel, Extension Entomologist, 线上赌博app, Fargo; Patrick B. Beauzay, Research Specialist and State Integrated Pest Management Coordinator, 线上赌博app, Fargo

Availability
Availability:
Available in print from the 线上赌博app Distribution Center.

Contact your county 线上赌博app Extension office to request a printed copy.
线上赌博app staff can order copies online (login required).

Publication Sections
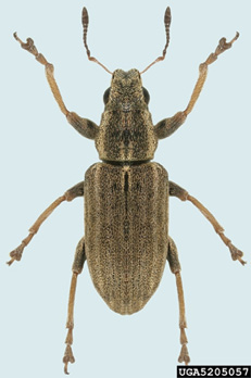
Pea leaf weevil
Photo Credit:
H. Goulet, retired, Agriculture and Agri-Food, Canada, Ottawa
Pea leaf weevil

Pea leaf weevil (PLW), Sitona lineatus Linnaeus, (Coleoptera: Curculionidae) is an invasive insect pest that first was detected in southwestern North Dakota on field peas in Golden Valley County during the fall of 2016. Pea leaf weevil is a significant insect pest of field peas and faba beans, and can reduce yields severely.

Host Plants

Pea leaf weevil infests cultivated and wild legume species, including field peas, faba beans, alfalfa and dry beans. However, economic damage only occurs on field peas and faba beans. Clover and alfalfa serve as secondary hosts, but larvae do not develop fully on these crops. Pea leaf weevil also feeds on foliage of dry bean, lentils, lupins and vetch, but does not cause economic damage. Chickpeas are not known to be a host of PLW.

Field peas
Field peas

Geographic Range

Pea leaf weevil, native to Europe and North Africa, was first reported in North America during the 1920s. Since then, it has become an established pest in parts of Florida, Virginia, Texas, the Pacific Northwest (Idaho, Washington), Montana and Canada (British Columbia, Alberta and Saskatchewan).

In the last decade, PLW populations have been moving eastward, affecting increased field pea acreage. Pea leaf weevil is a common insect pest where field peas or faba beans are grown in western North Dakota. It is most prevalent in the southwest (Dunn, Golden Valley and Stark counties), north-central (Mountrail and Ward counties) and northwest (Divide County).

Identification

Egg (Figure 1) – Small and white when laid; gradually turn black before hatching

Figure 1
Photo Credit:
M. Dolinski, Canada
Figure 1. Adult pea leaf weevil and eggs on soil.

Larva (Figure 2) – Legless and white, with a dark brown head capsule; range from ⅛ to ¼ inch long; curls into a C-shape when disturbed

Figure 2
Photo Credit:
M. Dolinski, Canada
Figure 2. Larva of pea leaf weevil.

Pupa (Figure 3) – Resting stage

Figure 3
Figure 3. Pupa of pea leaf weevil

Adult (Figure 4) – Adult weevils are about 3/16 inch long, slender and grayish brown with a broad snout PLW is similar in appearance to the sweet clover weevil (Sitona cylindricollis Fåhraeus) (Figure 5) and other Sitona weevils. Adult PLW can be separated by the appearance of three light stripes on the thorax that extend to the wing covers on young adults. An experienced entomologist can assist in making a positive identification.

Figure 4
Photo Credit:
Natasha Wright, Cook's Pest Control, www.bugwood.org
Figure 4. Adult pea leaf weevil
Figure 5
Photo Credit:
Pest and Diseases Image Library, www.bugwood.org
Figure 5. Adult sweet clover weevil.

Life Cycle and Biology

Adult PLW will overwinter in alfalfa and other perennial legumes, roadside ditches and shelterbelts. Adults will emerge in the spring as temperatures rise above 55 to 63 F and begin flying into spring-seeded field peas or faba beans. Adult PLW feed on leaves, causing a half moon, notched appearance along the leaf margins.

Adults mate and females lay eggs singly near the soil surface near developing host plants from May to June. Each female can lay between 1,000 to a maximum of 3,299 eggs in field peas.

After two to three weeks, eggs will hatch. Newly hatched larvae burrow into the soil to find and feed on nitrogen-fixing root nodules of its host plant. Larvae will develop through five instar stages in four to eight weeks.

Mature larva pupate in the soil. The pupal stage is a nonfeeding developmental stage without plant damage. The new generation of adults emerge during late July and into August. Adults will search out pulse or related forage crops and feed on the vegetation before seeking overwintering sites in late fall.

Damage

Adults feed on the early clam leaves, causing a symmetrical pattern of half-moon notches (Figure 6). Leaf feeding by adults typically does not result in yield loss because the crop usually compensates and recovers.

Figure 6
Photo Credit:
P. Beauzay, 线上赌博app
Figure 6. Leaf-feeding notches from adult.

However, larva feed on the nitrogen-fixing bacteria within root nodules, causing significant damage to nodules (Figure 7). This damage also reduces soil- and plantavailable nitrogen for the current and future crops, which results in poor plant growth and lower crop yields.

Figure 7
Photo Credit:
P. Beauzay, 线上赌博app
Figure 7. Larva feeding on nitrogen-fixing bacteria within root nodules.

Monitoring

Scouting should occur when crops have just emerged in the spring (Figure 8), especially when PLW populations are high. Look for the halfmoon leaf notches on the lowest leaves of the plant along field edges first (Figure 6).

To establish an average number of plants with leaf notches, scout fields and sample 10 seedlings per 10 sampling sites in the field: five sampling sites near the field edge and five sampling sites about 35 yards into the field (Figure 8). Space sampling sites in fields about 25 yards apart. Later in the growing season (late June and July) during flowering, dig up plants and examine root nodules for larvae or feeding injury (Figure 9) using a hand-held 10x lens.

Figure 8
Figure 8. Scouting for leaf feeding injury from pea leaf weevils in field peas
Figure 9
Photo Credit:
P. Beauzay, 线上赌博app
Figure 9. Larva of pea leaf weevil excised from root nodule.

During the summer, scout for newly emerged adult PLW in late July. Adult weevils are difficult to scout for because they can drop readily to the soil surface and are cryptic.

As pea harvest begins, adult PLW will migrate out of the field to feed on nearby legumes, such as alfalfa and sweet clover. These secondary hosts may harbor other weevils, such as the sweet clover weevil (Figure 5), that look similar to PLW.

Integrated Pest Management

Cultural Control

Cultural control for PLW includes:

  • Late seeding of field peas (by 10 days): This reduces foliar leaf feeding injury by weevils because the pea emergence is delayed after the peak emergence and dispersal of weevils in the spring.
  • Use of no-till systems: Research comparing no-till and conventional till plots found that PLWs were more attracted to conventional tillage. As a result, peas grown using conventional tillage had higher leaf feeding injury by weevils and greater larval density on root nodules. Larvae also developed faster and the new generation of adults emerged earlier in conventional tillage than no-till. Another benefit of no-till is that it supports higher populations of beneficial predators, such as ground beetles (Coleoptera: Carabidae).
  • Use of trap crops: Early spring-planted faba beans or winter peas planted around the perimeter of later-planted spring field peas (main crop) can reduce adult and larval damage in the main crop. Trap cropping needs additional pest management research to improve its effectiveness. For example, combining pheromone-baited traps with trap cropping could attract more PLWs into the trap crop. Faba beans growing under good moisture also may serve as a trap crop for the summer- emerging weevils.
  • Application of nitrogen to field peas at planting can reduce plant nodulation and, in turn, larval food resources, which generally reduces root nodule injury and may increase yields, depending on PLW densities. However, nitrogen inputs are expensive and usually not economically viable for growers as a pest management tool.

Regardless, organic growers could add manure as a nonchemical strategy to help mitigate yield losses from PLW damage. Further research is needed to determine the role of nitrogen on plant yield and PLW injury to root nodules.

Biological Control

Few predators or parasitic wasps are known to be specific to PLW. Two generalist ground beetles, Pterosticus melanarius (Illiger) and Bembidion quadrimaculatum (L.) (Coleoptera: Carabidae), cause significant mortality to PLW adults and eggs in the laboratory. However, more intensive field studies are needed to identify and determine which natural enemies are most effective against PLW.

Host Plant Resistance

Limited research has been conducted on host plant resistance to PLW. Pea leaf weevil prefers field pea varieties with a thinner wax layer on the leaves instead of those with a thicker wax layer. Further investigation should focus on other morphological characteristics, such as trichomes or plant volatiles that attract or repel PLWs.

Chemical Control

Preventive insecticidal seed treatments, such as the active ingredient thiamethoxam, reduce adult defoliation, egg laying and larval feeding on the root nodules. No accurate forecasting models are available, so the decision to treat seed is based on regional field history of PLW populations and damage levels.

Foliar insecticides should only be applied at the economic threshold from seedling through the sixth-node growth stage to prevent egg laying.

Economic Threshold (E.T.) is reached when 30 percent of the plants have half-moon-shaped feeding notches on the clam leaves (most recently emerging leaves that are folded together).

For successful foliar insecticidal control, insecticides should be applied before the female PLW has the opportunity to lay eggs to prevent yield loss caused by larval feeding on root nodules. Some studies have shown that insecticide seed treatments are more effective than foliar sprays because of the long window of weevil emergence in the spring and multiple movements into fields.

Refer to the current “North Dakota Field Crop Insect Management Guide” (E1143) for insecticides registered for PLW on field peas in North Dakota. The publication is available online at www.ndsu.edu/agriculture/extension/publications/north-dakota-field-crop-insect-management-guide.

线上赌博app Extension Logo
Northern Pulse Growers Association logo